Get new listings emailed daily! JOIN SIGN IN
Robert H. Stewart
Licensed Real Estate Salesperson
The Realtor
(315) 863-1407 Cell
Facebook Icon LinkedIn Icon YouTube Icon Pinterest Icon Instagram Icon Zillow Icon Twitter Icon 

43 James Street , Homer, NY 13077

New - 2 Hours Ago
View Full Photo Gallery

Property Description

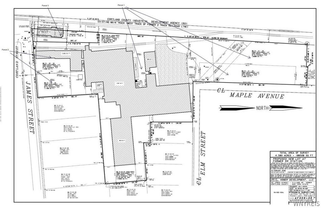
Homer Development LLC - Commercial Real Estate Properties For Sale - James St., Homer, NY 13077 Situated at the heart of Homer's historic village, in short distance to Main Street, are three separate parcels that span over four acres primed for redevelopment in the Village of Homer. This multifaceted site blends commercial, and industrial elements in a General Industrial zone offering a multitude of flexibility and use. Rail siding is available and the location is very close the Rt. 81, Exit 12. All three parcels have individual utilities; electric, natural gas and Village water and sewer. The properties are being offered for sale as a group or as individual parcels as per the table below. More specific information may be obtained through the links below. The Train Station was recently sub-divided so not all information is available through the County. A map showing the overall site is attached. Tax records did not contain the following information Gross Square Footage:162,797 estimated by seller.

43 James Street | MLS# B1674985

This commercial property located at 43 James Street , Homer, NY 13077 is currently listed for sale with an asking price of $650,000. James Street is located within the Homer school district. Search Homer real estate on robert-stewart.coldwellbankerprime.com today.

Gallery

Property Features

Property Type: Commercial - Industrial
Cooling: OneUnit
Heating: Electric, Gas, Individual
Lot Size: 4.61 Acres
Roof Type: Membrane, Rubber, Shingle
Stories: 3.0
Taxes: $14,670
Year Built: 1909

Feature Descriptions

Lot: IrregularLot
Lot Dimensions: 226X1100
Parcel#: 113001-066-074-0002-034-000-0000
Sewer: PublicSewer
Utilities: SewerConnected, WaterConnected
Water: Public

Local Schools

School District: Homer

Demographics

Listed By / Shown By

Listing By

Agency Name: Homecoin.com
Agency Contact: 888-400-2513

Shown By

Agent Name: Robert H. Stewart
Agent Phone: (315) 863-1407 Cell
Agency Title: Coldwell Banker Prime Properties

IDX logo

Disclaimer: All information deemed reliable but not guaranteed. All properties are subject to prior sale, change or withdrawal. Neither listing broker(s) or information provider(s) shall be responsible for any typographical errors, misinformation, misprints and shall be held totally harmless. Listing(s) information is provided for consumers personal, non-commercial use and may not be used for any purpose other than to identify prospective properties consumers may be interested in purchasing. Information on this site was last updated 04/22/2026. The listing information on this page last changed on 04/22/2026. The data relating to real estate for sale on this website comes in part from the Internet Data Exchange program of Delta Media Group MLS (last updated Wed 04/22/2026 4:59:11 AM EST) or Global MLS (last updated Wed 04/22/2026 1:21:59 AM EST) or New York State Alliance MLS (last updated Wed 04/22/2026 2:34:33 AM EST) or Hudson Valley Catskill Region MLS (last updated Wed 04/22/2026 12:11:11 AM EST) or OneKey MLS (last updated Wed 04/22/2026 1:45:18 AM EST). Real estate listings held by brokerage firms other than Coldwell Banker Prime Properties may be marked with the Internet Data Exchange logo and detailed information about those properties will include the name of the listing broker(s) when required by the MLS. All rights reserved.

C.B. Prime Properties, Inc. fully supports the principles of the Fair Housing Act and the Equal Opportunity Act. Each franchise is independently owned and operated.

Homestead Funding Corp. Company NMLS# 3232. Equal Housing Lender. State Licensing Information

Coldwell BankerĀ®. All rights reserved. The Coldwell Banker System is comprised of company owned offices which are owned by a subsidiary of Anywhere Advisors LLC and franchised offices. Coldwell Banker Real Estate LLC, fully supports the principles of the Fair Housing Act and the Equal Opportunity Act. Any services or products provided by independently owned and operated franchisees are not provided by, affiliated with, or related to Coldwell Banker Real Estate LLC nor any of its affiliated companies.


Privacy Policy / DMCA Notice / ADA Accessibility

Login to My Homefinder

Pixel